黟县人民政府征收土地公告 黟征地告〔2026〕1号
2025年12月29日,受省人民政府委托的黄山市以《关于黟县2025年第10批次城镇建设用地的批复》(皖政地黄〔2025〕75号),批准征收集体所有土地0.1576公顷(2.3640亩)。根据《中华人民共和国土地管理法》第四十七条、《中华人民共和国土地管理法实施条例》第三十一条及《安徽省土地征收及补偿安置办法》第二十一条等有关规定,现将有关事项公告如下:
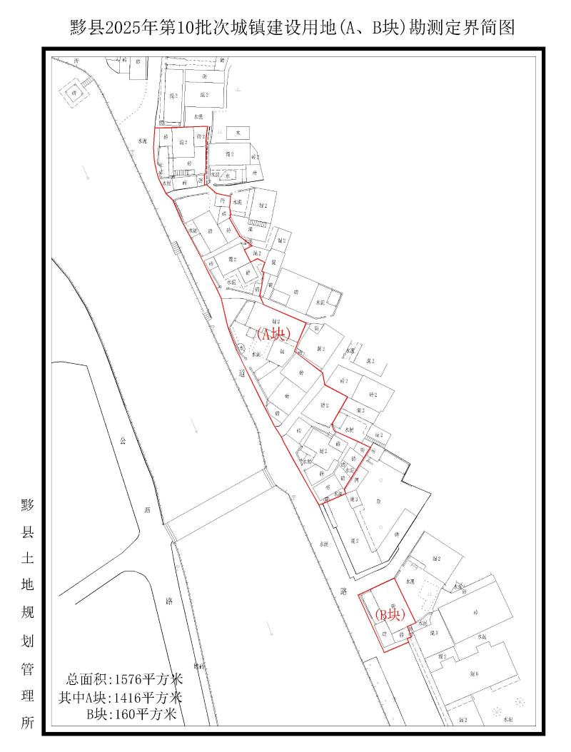
一 、征收土地范围
本次拟征收土地位于碧阳镇马道村城东组、东门组范围内。征收土地位置详见附图。
本次批准征收土地面积0.1576公顷(2.3640亩),全部为建设用地0.1576公顷(2.3640亩)。具体如下:
|
地块编号 |
用地位置 |
土地分类面积明细(公顷) |
|||||
|
农用地 |
建设用地 |
未利用地 |
|||||
|
合计 |
耕地 |
永久基本农田 |
其他 |
||||
|
2025-10A地块 |
碧阳镇马道村城东组、东门组 |
0 |
0 |
0 |
0 |
0.1416 |
0 |
|
2025-10B地块 |
碧阳镇马道村城东组 |
0 |
0 |
0 |
0 |
0.0160 |
0 |
|
合计 |
0 |
0 |
0 |
0 |
0.1576 |
0 |
|
二、工作安排
本公告发布后,黟县人民政府将组织碧阳镇人民政府实施土地征收。
对签订征地补偿安置协议的,将于本公告发布之日起90日内,按照《黟县人民政府征地补偿安置方案公告》(黟征补安置〔2025〕6号)及征地补偿安置协议确定的补偿安置费用,将土地补偿费、安置补助费支付给被征地农村集体经济组织和被征地农户,将农村村民住宅以及其他地上附着物和青苗等的补偿费用支付给其所有权人,将搬迁、临时安置费用支付给搬迁人、被安置人。
黟县人民政府将按照《安徽省人民政府关于对符合条件的被征地农民社会保障对象实行基本养老保险缴费补贴政策的通知》(皖政〔2023〕72号)《安徽省人力资源和社会保障厅 安徽省财政厅 安徽省自然资源厅 安徽省农业农村厅关于印发对符合条件的被征地农民社会保障对象实行基本养老保险缴费补贴实施细则的通知》(皖人社发〔2023〕18号)及《黟县人民政府关于对黟县符合条件的被征地农民社会保障对象实行基本养老保险缴费补贴政策的通知》(黟政〔2024〕20号)等规定,将被征地农民社会保障费用转入被征地农民社会保障资金专户,并将符合条件的被征地农民纳入社会保障体系。
征地补偿安置到位后,被征收土地所有权人、使用权人应当 在30日内腾退土地及其他地上附着物,并将被征收土地所有权、承包经营权等相关权属证书移交给属地人民政府(地址:碧阳镇人民政府,联系方式:0559-5522194)。黟县自然资源和规划局将依据征地批准文件等,报黟县人民政府同意并公告后,集中办理集体土地所有权、使用权以及土地承包经营权、土地经营权等的变更或者注销登记。对已签订征地补偿安置协议,但拒不按协议约定腾退的,黟县人民政府将作出责令交出土地的决定。
三、 公告期限和救济渠道
本公告在拟征收土地所在的碧阳镇、马道村、城东组、东门组范围内,采用镇政务公开栏及村务公开栏张贴方式发布,并在黟县人民政府门户网站(https://www.yixian.gov.cn/) 发布。本公告期限为自发布之日起不少于5个工作日。
被征收土地的土地所有权人以及土地使用权人(仅限农村集体经济组织成员)对征收土地批复行为不服,可以自本公告发布之日起60日内,依据《中华人民共和国行政复议法》规定向省人民政府申请行政复议。
本公告未尽事宜,均按照法律、法规和政策的有关规定办理。
联系单位:黟县碧阳镇人民政府
联 系 人 :胡锦川
联系电话:15255986206
黟县人民政府
2026年1月7日

皖公网安备 34102302000001号
不良信息举报